Obvestilo o zapori ceste v Nemški Loki
Obvestilo o zapori ceste v Nemški Loki
23. 6. 2022
189
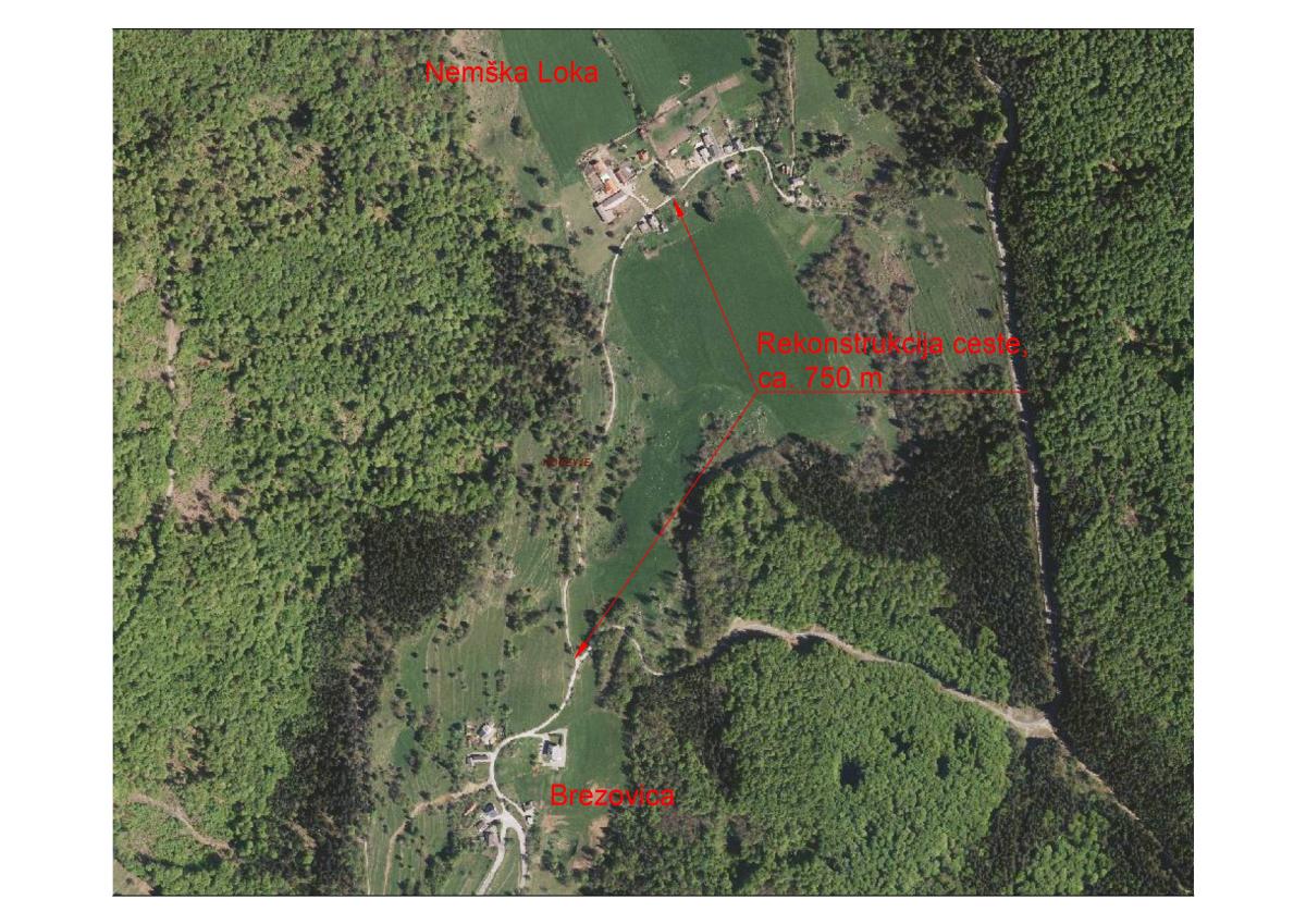
Obveščamo vas, da se začenja rekonstrukcija ceste v Nemški Loki. V času del bo vzpostavljena popolna zapora ceste in sicer od 27. 6. do 8. 7. Prebivalcem bo omogočen dostop preko gradbišča.
Prosimo za razumevanje.