PARKIRIŠČE PRI BLOKIH UHM KOČEVJE
PARKIRIŠČA OB VEČSTANOVANJSKIH OBJEKTIH - PARKIRIŠČE PRI BLOKIH UHM KOČEVJE
godba sega kar daleč nazaj – še v čas družbene lastnine v bivši skupni državi: takratna lokalna skupnost je preko stanovanjske skupnosti zagotavljala gradnjo t.i. družbenih stanovanj – največkrat blokov. Seveda so bili takratni gradbeni standardi prilagojeni času in potrebam: na vsako stanovanjsko enoto v večstanovanjskih objektih je bilo zagotovljeno samo nekaj parkirnih mest.
S osamosvojitvijo Slovenije in s spremembo političnega sistema so lahko uporabniki družbenih stanovanj slednja lahko prednostno odkupili (t.i. Jazbinškov zakon) in tako postali etažni lastniki. Vsi in vsak se je takrat posvečal svojemu (stanovanjskemu) problemu, ostalo je bilo sekundarnega pomena (doma je bil največkrat parkiran samo en avto znamke Zastava: 101, Yugo,…).
Z rastjo življenjskega standarda in blaginje pa so se v novejšem (sedanjem) času pojavile tudi nove potrebe – potrebe po dodatnih vozilih, ki so v sedanjem času postala tudi cenovno dostopna praktično vsakemu posamezniku. Tako se nemalokrat dogaja, da ima ena družina v bloku dve (2) ali celo več osebnih oz. motornih vozil…. In kam jih parkirati, ko se vrnemo iz službe domov v blok? Tukaj nastane velika zagata – celo logistični problemi: še posebno v zimskem času, ko je zaradi snežnih razmer parkirnih mest še nekoliko manj….
Občina Kočevje je take težave občanov – meščanov prepoznala in aktivno pristopila k reševanju problema mirujočega prometa, vendar ob določenih pogojih:
- da je lastnik zemljišča na katerega se posega Občina Kočevje;
- da je gradnja takih objektov (parkirišč) dopustna v prostorsko – izvedbenih aktih in
- da obstaja aktivni interes etažnih lastnikov okoliških večstanovanjskih objektov za odkup urejenih parkirnih mest.
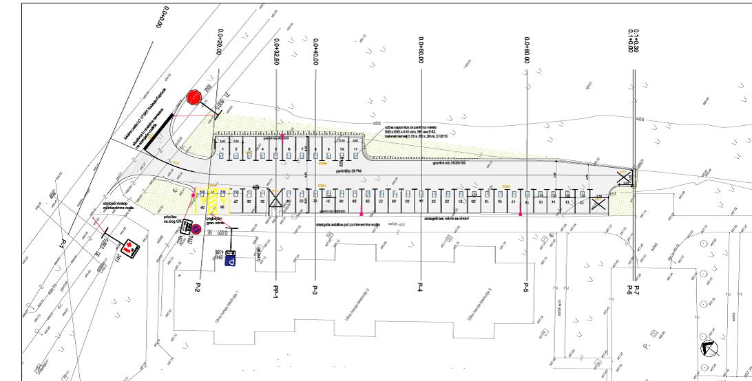
K urejanju prvega urjenega parkirišča je Občina Kočevje pristopila na lokaciji blokov UHM v Kočevju. Lastnik parcele za bloki je izvirno Občina Kočevje, prostorsko – izvedbeni akti dopuščajo gradnjo parkirišč, interes etažnih lastnikov obstaja,…izpolnjeni so vsi vhodni pogoji.
Ocenjena vrednost posega je po projektantskem predračunu (PZI) 71.746,69 EUR (skupaj z DDV). Na novo bo pridobljeno 37 parkirnih mest + 2 parkirni mesti za invalidne osebe. Celotno parkirišče bo v asfaltni izvedbi, vsak parkirni boks pa bo imel nameščeno tudi ročno dvižno zapornico. Predvidena končna cena na eno urejeno parkirno mesto bo znašala do 2.500,00 EUR….prednost pri odkupu pa bodo imeli etažni lastniki blokov UHM (prodaja se bo vršila v obliki neposrednih pogodb).